Beschreibung
Das schreiben unsere spanischen Tierschützer: Garfield wurde am Tor unseres Tierheims ausgesetzt. Er war total dehydriert und unterernährt, wir konnten seine Rippen unter dem Fell sehen. Wir wissen nicht, ob jemand ihn dort ausgesetzt hat oder ob er von sich aus hierherkam, um Hilfe zu suchen. Er brauchte lange, um sich von seiner Unterernährung zu erholen, er hatte kaum Kraft in den Beinen und wir haben ihn mehrere Monate lang mit Vitaminen und hochwertiger Nahrung aufgepäppelt. Nun ist er so weit, dass er in seine eigene Familie einziehen kann. Garfield ist ein toller Hund, lieb zu Menschen, verträglich mit anderen Hunden, verschmust, hat einen ruhigen Charakter und verspielt. Er ist einfach wunderbar! Bei wem darf Garfield sein Für-immer-Zuhause finden?
Update
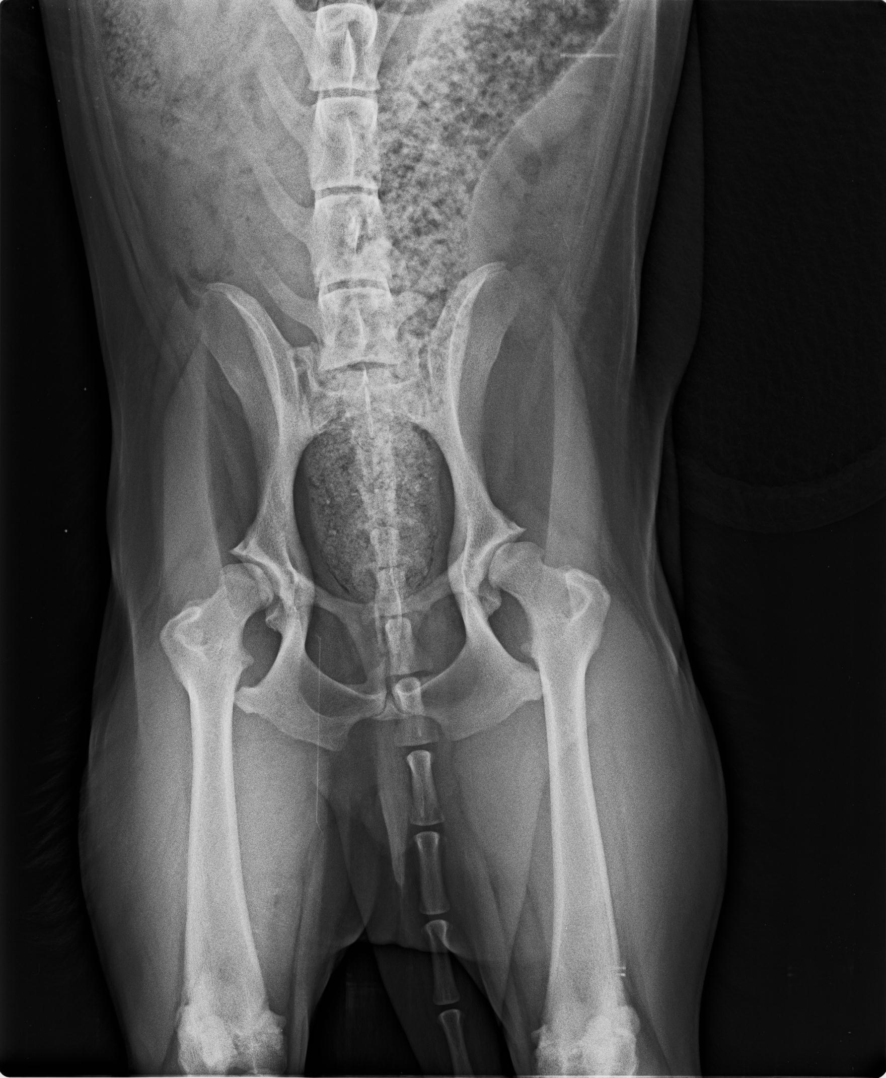
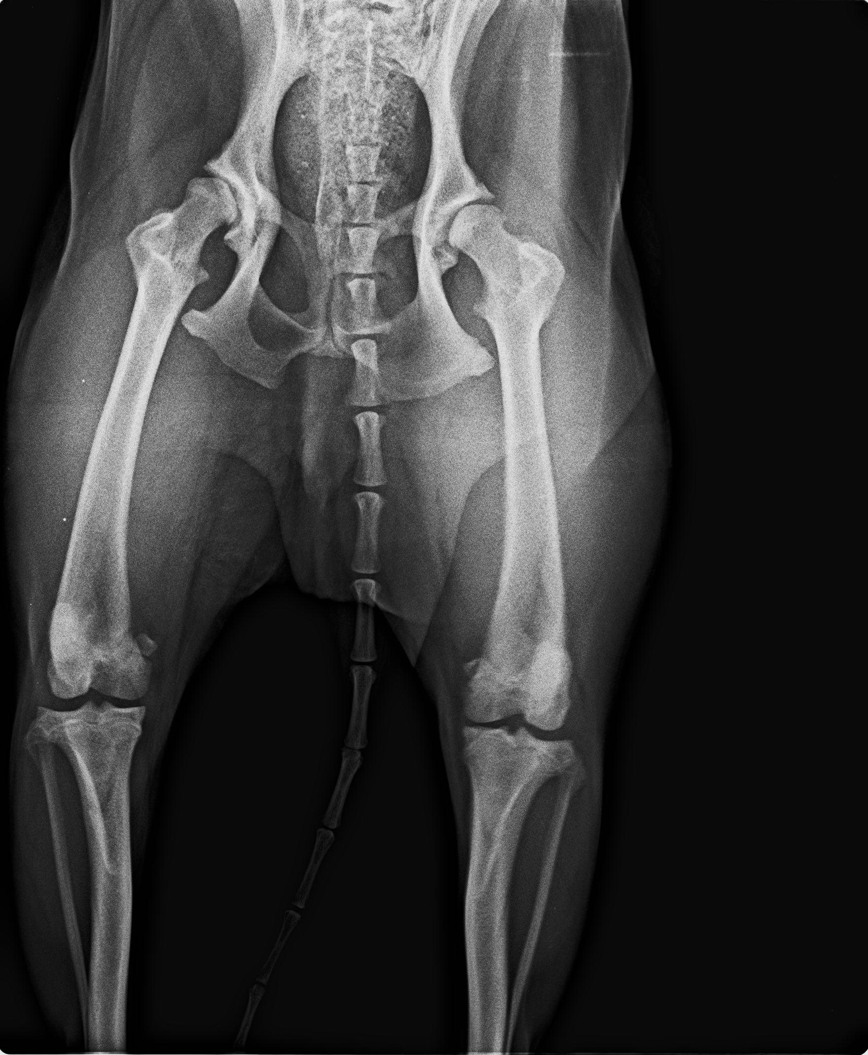
04.08.2025 neue Bilder, neues Video. Wir behandelten ihn mit Vitaminen und er schien sich gut zu entwickeln, er fing an, sich besser zu bewegen, obwohl wir mit der Zeit ein leichtes Hinken in seinem rechten Hinterbein bemerkten. Wir machten eine Röntgenaufnahme und der Tierarzt riet, den Oberschenkelkopf zu entfernen. Es dauerte viele Monate, bis er sich von der ersten Operation erholt hatte, so dass wir nicht wussten, ob wir auch das andere Bein operieren sollten. Aber dann begann Garfield, starke Schmerzen in seinem nicht operierten Bein zu haben. Wir gingen wieder zum Tierarzt und er wurde im Mai dieses Jahres an seinem zweiten Hinterbein operiert. Garfield ist ein Hund, der ein Zuhause mit einem großen Garten braucht, er ist kein Hund für Spaziergänge, da er sehr schnell müde wird. Vielleicht ist es eine Folge seiner Hinterbeinprobleme, als er ein Welpe war, deshalb sind seine Bedürfnisse anders als die anderer Hunde. Er wäre glücklich mit einem schönen, großen Garten, einer liebevollen und verständnisvollen Familie und viel Ruhe – mehr braucht Garfield nicht, um der glücklichste Hund der Welt zu sein.
10.07.2024 neue Fotos
Informationen zum Herdenschutzhund
Bitte beachten Sie:
Die Rückmeldungen der Tierheime spiegeln das aktuelle Verhalten der hier zur Vermittlung stehenden Hunde wider. Auch wie sich der Hund in seinem neuen Zuhause zeigen wird, können wir nicht vorhersehen. Somit bleibt er ein Stück weit "ein Überraschungsei", denn jeder Hund kann sich verändern und entwickeln. So braucht auch dieser Hund viel Geduld und Liebe von seinen Menschen, die nun sein endgültiges Zuhause sein sollen.
Zuhause gesucht
Für Garfield suchen wir ein liebes, verständnisvolles und erfahrenes Zuhause. Unsere Hunde kommen in der Regel und soweit es die Gesundheit zulässt kastriert, geimpft, gechipt, entwurmt, entfloht und mit EU-Pass versehen ins neue Zuhause. Die Hunde aus Spanien werden außerdem auf Dirofilariose (Herzwürmer), Leishmaniose und Ehrlichiose getestet (ab einem Alter von 1 Jahr, da vorher nicht aussagekräftig). Vermittlung gegen Schutzvertrag und Schutzgebühr. Wir freuen uns auf Ihren Kontakt.
Bei Interesse füllen Sie bitte unser Online-Selbstauskunftsformular aus.
Kontakt
Britta Laupichler
+491796851587 (auch Whatsapp)
Bitte beachten Sie, dass wir diese Tätigkeit in unserer Freizeit durchführen. Wir sind alle berufstätig und haben Familie und eigene Tiere bzw. Pflegetiere. Haben Sie bitte Verständnis, wenn wir nicht immer sofort antworten können, wir melden uns baldmöglichst bei Ihnen zurück. Danke!
Paten gesucht
Für Garfield suchen wir auch liebe Paten, die mit einem kleinen monatlichen Beitrag uns helfen möchten, damit der Lebensunterhalt gesichert ist (Futter, Spielzeug, Tierarztkosten...). Eine Patenschaft ist ab 1 € im Monat möglich. Sie erhalten eine Patenurkunde und einmal im Jahr einen kleinen Bericht aus dem Tierheim. Wenn Sie eine Patenschaft übernehmen möchten, schreiben Sie uns einfach eine E-Mail an
Unsere Bankverbindung:
Tierisch geholfen
IBAN: DE16611500200102655432
BIC: ESSLDE66XXX
oder per Paypal
Verwendungszweck: Patenschaft für Garfield
Vielen vielen Dank!
Bildergalerie
Durch Klicken werden externe Inhalte geladen und die Google-Datenschutzerklärung akzeptiert.Auf YouTube anschauen
Durch Klicken werden externe Inhalte geladen und die Google-Datenschutzerklärung akzeptiert.Auf YouTube anschauen
Durch Klicken werden externe Inhalte geladen und die Google-Datenschutzerklärung akzeptiert.Auf YouTube anschauen
Klicken Sie eines der Bilder an, um eine Diaschau zu starten.

